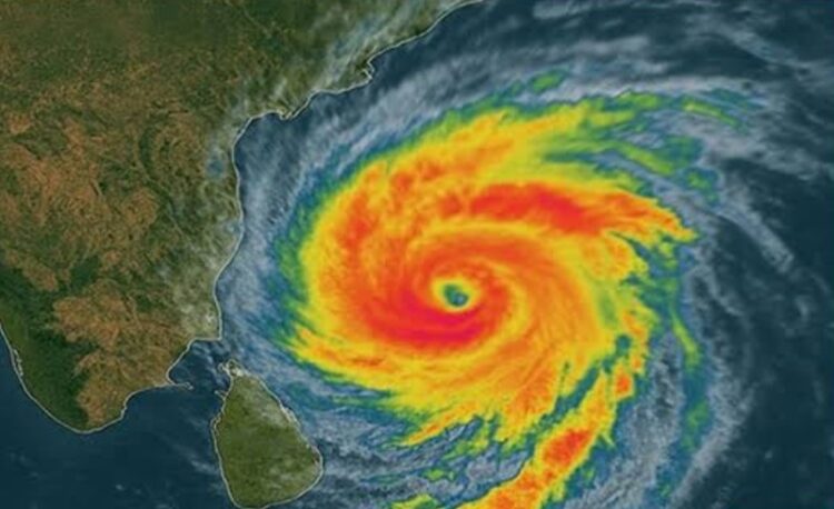
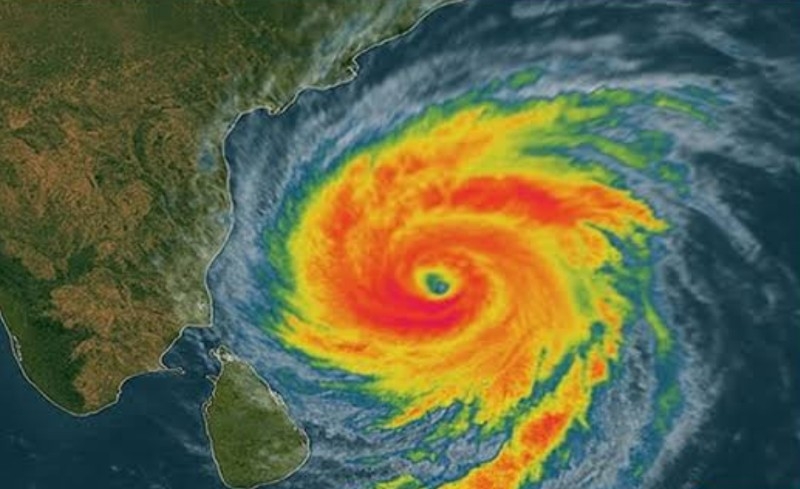
ന്യൂഡൽഹി : ബംഗാൾ ഉൾക്കടലിൽ ഒരു ചുഴലിക്കാറ്റ് രൂപപ്പെടുന്നതിനെ തുടർന്ന് ഇന്ത്യൻ കാലാവസ്ഥാ വകുപ്പ് (IMD) ജാഗ്രതാ നിർദ്ദേശം പുറപ്പെടുവിച്ചു. ‘സെൻയാർ’ എന്ന പേര് നൽകിയിരിക്കുന്ന ഈ ചുഴലിക്കാറ്റ് വൈകാതെ തന്നെ
ആൻഡമാൻ നിക്കോബാർ ദ്വീപുകളിലേക്ക് എത്തിച്ചേരുമെന്നാണ് പ്രതീക്ഷിക്കപ്പെടുന്നത്. നവംബർ 21 മുതൽ ഈ ചുഴലിക്കാറ്റ് കൂടുതൽ ശക്തമാകുമെന്നും കാലാവസ്ഥ വകുപ്പ് മുന്നറിയിപ്പ് നൽകിയിട്ടുണ്ട്. ചുഴലിക്കാറ്റിന് സിംഹം എന്ന അർത്ഥം വരുന്ന ‘സെൻയാർ’ എന്ന പേര് നൽകിയിരിക്കുന്നത് യുണൈറ്റഡ് അറബ് എമിറേറ്റ്സ് ആണ്.
നവംബർ 27 നും 29 നും ഇടയിൽ ചുഴലിക്കാറ്റ് കര തൊടുമെന്നാണ് കരുതപ്പെടുന്നത്. തമിഴ്നാട്, ആന്ധ്രാപ്രദേശ്, ഒഡീഷ എന്നിവിടങ്ങളെയായിരിക്കും ഇത് ഏറ്റവും കൂടുതൽ ബാധിക്കുക. നവംബർ 21 രാത്രിയോടെയോ നവംബർ 22 പുലർച്ചെയോ തെക്കുകിഴക്കൻ ബംഗാൾ ഉൾക്കടലിലും തെക്കൻ ആൻഡമാൻ കടലിലും ഒരു ന്യൂനമർദം രൂപപ്പെടാൻ സാധ്യതയുണ്ടെന്നും കണക്കാക്കപ്പെടുന്നു.
‘സെൻയാർ’ ആദ്യം ഒരു ആഴത്തിലുള്ള ന്യൂനമർദമായി മാറുകയും പിന്നീട് അതിവേഗം ഒരു ചുഴലിക്കാറ്റായി മാറുകയും ചെയ്യുമെന്നാണ് കാലാവസ്ഥ വകുപ്പ് കണക്കുകൂട്ടുന്നത്. കൊടുങ്കാറ്റായി മാറിയ ശേഷം കിഴക്കൻ തീരത്തേക്ക് നീങ്ങുമെന്ന് കരുതപ്പെടുന്നു. നവംബർ 24 ഓടെ ന്യൂനമർദമോ ആഴത്തിലുള്ള ന്യൂനമർദമോ എത്തുമ്പോൾ മാത്രമേ ചുഴലിക്കാറ്റിനെക്കുറിച്ചുള്ള കൃത്യമായ വിവരങ്ങൾ ലഭ്യമാകൂ എന്ന് കാലാവസ്ഥാ നിരീക്ഷകർ പറയുന്നു. ചുഴലിക്കാറ്റ് രൂപപ്പെട്ടാൽ, ഈ സീസണിൽ ബംഗാൾ ഉൾക്കടലിൽ ഉണ്ടാകുന്ന രണ്ടാമത്തെ ചുഴലിക്കാറ്റായിരിക്കും ഇത്.











Discussion about this post